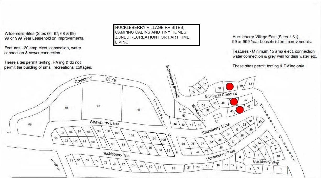
RV Site w/Snowshed with balance of 999 year Pre-Paid registered Lease in the Recreational Community of Sunshine Valley near Manning Park. The lease has been fully pre-paid for 999 years and there are no monthly or yearly lease payments or pad rental. This large lot features 30amp electric, untreated water and a grey water drainage pit. HUGE very Private and quiet location at the rear of the complex with only forest behind you. Price inclds RV currently on the property. Turnkey and ready to go for you and your family. ATV and Motorbike friendly. Zoned for part time Camping Use. Only 2 hours from Vancouver. Only 2 hours from Vancouver. No Borders, No Ferries. Get back to nature, a weekend at a time! (id:44056)

Property Details

Full Address:
H59 BLUEBERRY CRESCENT, Sunshine Valley, Sunshine Valley, British Columbia
Price:
$ 116,900
MLS Number:
R3070581
List Date:
November 27th, 2025
Lot Size:
4091 sq.ft.
Taxes:
$ 281
Listing Tax Year:
2024

Interior Features

Building Features

Ownership Type:
Condo/Strata
Taxes:
$ 281

Floors

Land

View:
View
Lot Size:
4091 sq.ft.

Neighbourhood Features

Ratings

Commercial Info

Neighbourhood Details

Location

Mortgage Calculator

powered by Ratehub.ca
Is this your listing?Advertise With Us!

Listing Agent(s)

Listing: Walter Rawlinson
Team 3000 Realty Ltd.

Similar Listings

Copyright © Real Estate Guide 2021 | Legal Sitemap
Area Modal Trigger
X